



| Discover Your Dockable Homesite! |

| "LIFE IS SHORT" Create unlimited memories with your Family on Moss Lake ... Only 3 Homesites remaining for sale ... act now before they are gone! |
| Only 3 Homesites - Explorer |

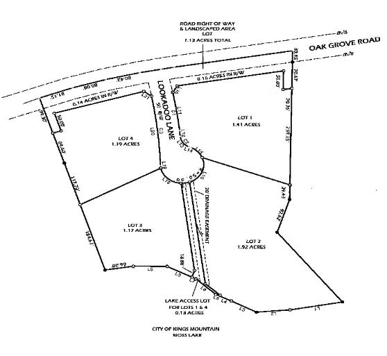
| Homesite 1 and 4 shared lake access lot |
| JOHN MOSS LAKE FRONTAGE |
| OAK GROVE ROAD FRONTAGE |
| Exclusive - Secure - Lakefront |
| SOLD |



| • Homesite 1 - Size: 1.41 Acres - Enjoy Lake Access - this Homesite includes deeded .13 acre access lot to the lakefront. Build a custom dock or just use your lake frontage for picnics and fishing. Includes HOA Membership. Click Here For Lake Access Site Plan Price: $150,000.00 Click to Explore this Homesite and Watch Video |
| • Homesite 2 - SOLD - Size: Over 2 Acres - Home currently under construction by North Point Custom Builders - 4,500 SqFt Under Air/Heat. |
| • Homesite 3 - Size: 1.17 Acres - Lakefront Homesite- Breathtaking lakefront view. Build your home and dock and start living the Lake Life! Included HOA Membership. Price: $360,000.00 Click to Explore this Homesite and Watch Video |
| • Homesite 4 - Size: 1.19 Acres - Enjoy Lake Access - this Homesite includes deeded .13 acre access to the lakefront. Build a custom dock or just use your lake frontage for picnics and fishing. Includes HOA Membership Click Here For Lake Access Site Price: $185,000.00 Click to Explore this Homesite and Watch Video |